DZIAŁKA SIEDLISKOWA 1700 M OD MORZA USTRONIE MORSKIE

kołobrzeski, Ustronie Morskie

450 000 PLN

Numer oferty670
Typ transakcjiSprzedaż
Cena450 000 PLN
Powierzchnia4 843 m2
Cena za m292,92 PLN / m2
Przeznaczeniemieszkaniowo-usługowe
Typ działkisiedlisko
Szerokość60
Długość76
Typ ogrodzeniabrak
Typ drogiszutrowa
Forma własnościwłasność
Prąddo 100m
Wodaw drodze
Gazw drodze
Kanalizacjainna
Wygląd działkiteren płaski
Typ Ogrodzeniabrak
Typ Drogiszutrowa
DZIAŁKA SIEDLISKOWA 1700 M OD MORZA USTRONIE MORSKIE (kołobrzeski, Ustronie Morskie)

Przedmiotem sprzedaży jest działka siedliskowa położona w Ustroniu Morskim 1700 m od morza przeznaczona w MPZP pod zabudowę zagrodową
- 1700 m od morza
- 10 km od Kołobrzegu


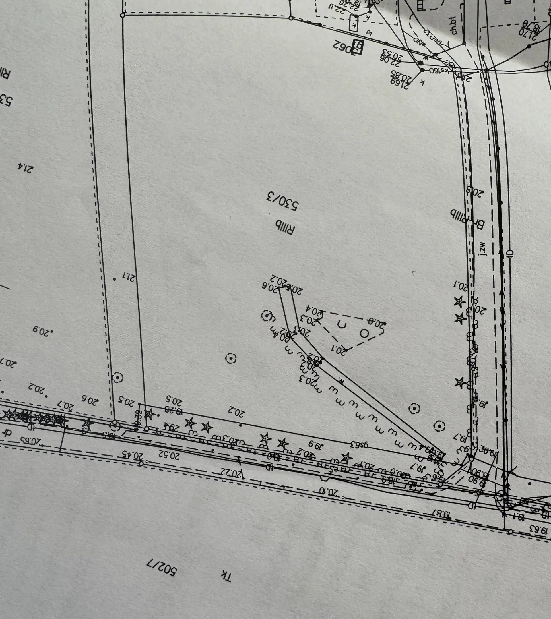
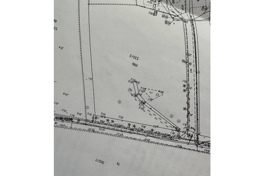
Powierzchnia: 4843 m2 ( nr 530/3)

Kształt działki: prostokąt

Warunki glebowe: teren suchy, częściowo zalesiona

Miejscowy Plan Zagospodarowania Przestrzennego :tak

Przeznaczenie terenu: teren zabudowy zagrodowej

- maksymalna powierzchnia zabudowy w stosunku do powierzchni działki budowlanej 40%
- minimalna powierzchnia terenu biologicznie czynnego : 30% powierzchni działki budowlanej
- wysokość zabudowy: dla budynków mieszkalnych do 15 m, dla budynków gospodarczych, garażowych, i zaplecza technicznego do 9 m
- geometria dachu: dachy płaskie lub strome - dwuspadowe lub wielospadowe ( w tym naczółkowe) o jednakowym pochyleniu połaci dachowych o kącie nachylenia do 45 stopni

Rodzaj drogi dojazdowej: asfalt

Odległość od tras krajowych: krajowa 11-tka- 200 m , S6- 3km

Ukształtowanie terenu: teren płaski

MEDIA: prąd, kanalizacja i woda w drodze


Treść niniejszego ogłoszenia nie stanowi oferty handlowej w rozumieniu Kodeksu Cywilnego. Dane dotyczące nieruchomości oparte są na informacjach uzyskanych od właściciela nieruchomości i mogą różnic się od stanu faktycznego. Podane ceny i czynsze mogą ulec zmianie. Zalecamy osobiste zapoznanie się ze stanem nieruchomości. Zapraszamy !
Oferta wysłana z programu IMO dla pośredników.
Informacje
Wypis z planu zagosp.
kołobrzeski, Ustronie Morskie

Kontakt